Tap to see more photos
Lot For Sale
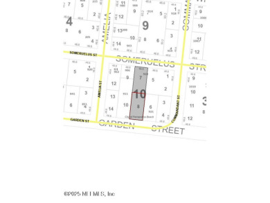
910 SOMERUELUS St
Fernandina Beach, Florida 32034
Nassau CountyCommunity: Old Town
$399,000
0.200 acres
Rare Opportunity in Historic Old Town! Discover the charm and beauty of Old Town, originally platted in 1811, where timeless history meets coastal living. These two adjacent lots are ideally situated in a neighborhood that borders the scenic Amelia River and offers sweeping views of Cumberland Island. Just steps from Plaza San Carlos-a serene gathering space where neighbors come to enjoy nature. Together lots 7 and 8 offer a 46' x 186' lot to build your dream home while still offering enough space for privacy. Just a few miles from Amelia Island's beaches and picturesque downtown. Launch your boat from the nearby Dee Dee Bartels public ramp or Tiger Point Marina and embrace the coastal lifestyle.
- Lot Size: 0.200 acre
- Lot Dimensions:
- View Types:
- Property Taxes: $3,402
- MLS #: 2097494
Contact Information:
Listing Agent: COLLEEN BELLAR, Keller Williams Realty, Atlantic Partners, 904-753-3064, 904-261-9800
Listing Site, Listing Status: Active
Copyright © 2026 realMLS. All rights reserved. All information provided by the listing agent/broker is deemed reliable but is not guaranteed and should be independently verified.
Copyright © 2026 realMLS. All rights reserved. All information provided by the listing agent/broker is deemed reliable but is not guaranteed and should be independently verified.
Ad Number: 6387908
Viewed 12 times.
Updated: Feb 04, 2026

